6000多万!占地40多亩!乐清中心区这块土地即将出让!
来源:房乐清
1891人浏览 0人点赞 发布日期:3小时前
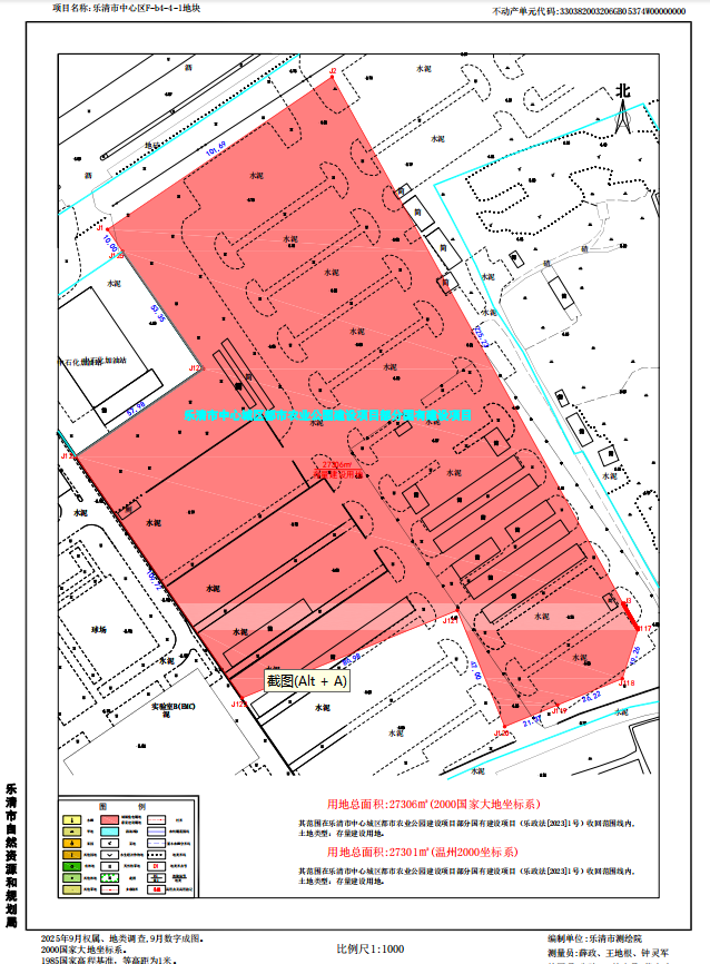
日前,乐清中心区宴海东路上一地块宣布即将挂牌开拍,为占地超40亩的科研用地,可以跟着小编一起来看看详情——
乐清市中心区F-b4-4-1地块挂牌出让,该地块位于市中心区,出让面积27306平方米(40.959亩),土地主用途为科研用地,竞地起始价为6350万元,竞买保证金为1270万元,竞地价增价幅度为50万元,折合楼面价约为 2325.5元/㎡。




本次挂牌出让时间
1.挂牌起始时间:2025年11月25日 08时30分00秒;
2.挂牌截止时间:2025年12月05日 15时00分00秒;
3.缴纳竞买保证金的截止时间为2025年12月03日 15时00分00秒,以银行系统记录到账时间为准。


1.该地块仅可用于建设低空经济产业相关建筑,建筑需配备停机坪。
2.亩均投资强度需达到 700 万每亩。
3.地块的自持比例为 100%,不得分割登记或分割转让,确需整体转让的必须报市政府审核同意
▍往期内容


